1 stanza appartamento a Milano
-
Area
- 45 m²
-
Tipo di proprietà
- Appartamento
-
Stanze
- 1 stanza
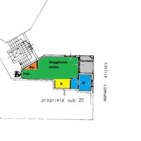
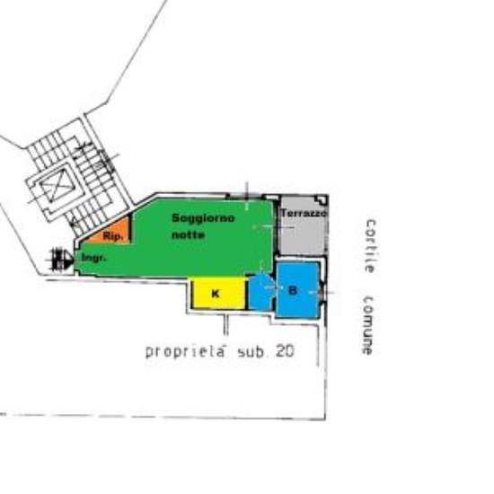
Mm Gorla, in via Aristotele in stabile moderno con giardino, affittasi ampio monolocale posto al quinto piano con ascensore, composto da ingresso, ripostiglio, ampio soggiorno-notte, angolo cottura, antibagno, bagno finestrato e terrazzo. Esposizione intera e silenziosa. Termoautonomo. Arredato Euro 900 mensili spese condominiali incluse.
- Affitto
- 800 € al mese
- Posizione
- 20128, Milano
- Periodo di affitto
- -
- Proprietario verificato
- Sì
- Data
- 10 giorni fa
- Disponibile
- Contatta il proprietario
- Utenze
- Contatta il proprietario
- Deposito
- Contatta il proprietario
- Affitto anticipato
- Contatta il proprietario
Posizione