2 stanza appartamento a Legnano
-
Area
- 46 m²
-
Tipo di proprietà
- Appartamento
-
Stanze
- 2 stanze
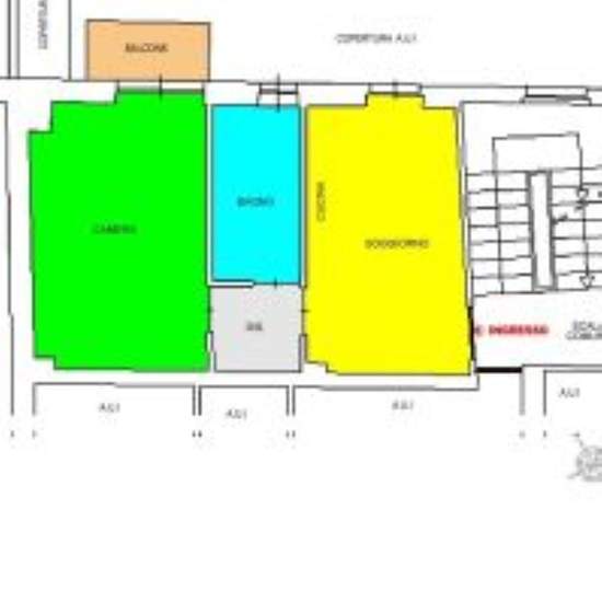
Appartamento in affitto a Legnano, Zona Legnarello. Affittasi nuovo bilocale in via madonnina del grappa, 53 (zona legnarello-sant’erasmo). In una delle zone più richieste e residenziali della città, propongo in affitto elegante e recente Bilocale completamente ristrutturato a nuovo e completamente arredato a nuovo sito a piano primo senza ascensore in Via Madonnina del Grappa 53, nel cuore di legnarello-sant’erasmo. Composizione • Ingresso nel Soggiorno con Cucina a vista; • Disimpegno notte; • Bagno finestrato completo con doccia e zona la...
- Affitto
- 880 € al mese
- Posizione
- 20025, Legnano
- Periodo di affitto
- -
- Proprietario verificato
- Sì
- Data
- 31 giorni fa
- Disponibile
- Contatta il proprietario
- Utenze
- Contatta il proprietario
- Deposito
- Contatta il proprietario
- Affitto anticipato
- Contatta il proprietario
Posizione