3 stanza appartamento a Milano
-
Area
- 90 m²
-
Tipo di proprietà
- Appartamento
-
Stanze
- 3 stanze
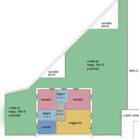
In un tranquillo cortile interno, proponiamo in affitto diretto, senza agenzia, un ampio trilocale di 90 mq, situato al piano terra, con tripla esposizione e un giardino privato di 250 mq che circonda l’appartamento su tre lati. Gli spazi, molto luminosi, offrono una piacevole continuità tra interno ed esterno, ideale per chi cerca comfort e vivibilità. L’appartamento, in ottime condizioni e parzialmente arredato, è così composto: Due camere da letto ampie e luminose Due bagni con luce naturale Zona giorno accogliente con soggiorno e cucina ...
- Affitto
- 1.600 € al mese
- Posizione
- 20138, Milano
- Periodo di affitto
- -
- Proprietario verificato
- Sì
- Data
- 10 giorni fa
- Disponibile
- Contatta il proprietario
- Utenze
- Contatta il proprietario
- Deposito
- Contatta il proprietario
- Affitto anticipato
- Contatta il proprietario
Posizione