4 stanza appartamento a Torino
-
Area
- 105 m²
-
Tipo di proprietà
- Appartamento
-
Stanze
- 4 stanze
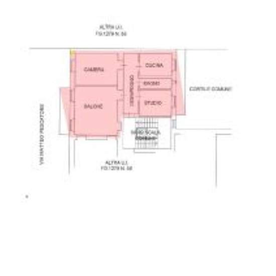
Torino centro - via matteo pescatore 2 / pressi piazza vittorio veneto, a due passi dal polo universitario unito di via sant'ottavio disponiamo di splendito appartamento al terzo piano, non arredato, in fase di totale ristrutturazione con finiture di pregio ( verranno aggiornate le foto ad avanzamento lavori). Presenza di palchetti in legno in camera e salotto che verranno completamente restaurati e levigati. L'appartamento e' cosi' composto :ingresso, ampia salotto, cucina abitabile, camera da letto e studiolo, servizio con ampio box doccia...
- Affitto
- 1.300 € al mese
- Posizione
- 10124, Torino
- Periodo di affitto
- -
- Proprietario verificato
- Sì
- Data
- 18 giorni fa
- Disponibile
- Contatta il proprietario
- Utenze
- Contatta il proprietario
- Deposito
- Contatta il proprietario
- Affitto anticipato
- Contatta il proprietario
Posizione